
Ducks
- Sleeping habit: they sleep in a row using the unihemispheric sleep, but the duck in the middle rests normally
Just like other marine mammals mentioned above, ducks can use the unihemispheric sleep as well, but they also have a strategy to protect themselves from predators and rest properly, namely to sleep in a row.
In general, the ducks on either side keep an eye open, as well as that hemisphere of the brain to observe the predators and be vigilant, while the duck in the middle will close both eyes and rest both hemispheres of the brain. Of course, they repeat the process with each duck in the team.Â

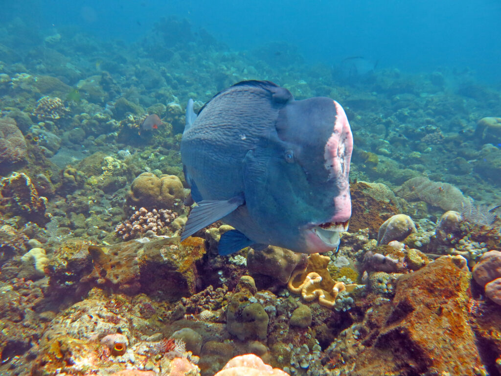
Parrotfish
- Sleeping habit: they sleep in a bubble
If the fact that they can change their gender whenever they want, as well as their color, doesn’t surprise you, then maybe the fact that they sleep in a bubble makes you place them on the list of the strangest creatures in the world. It seems that parrotfish can activate some special glands in the gills to secrete a kind of mucus that turns into a bubble around them.Â
The explanation is that they build this bubble to protect themselves from predators, such as eels. In addition, according to Alexandra Grutter from the University of Queensland, the bubble doesn’t protect the parrotfish from eels, but from the tiny mouthparts of parasites, known as gnathiid isopods, which suck blood during the night. Yet, Grutter tested his theory and found that vulnerable parrotfish that weren’t in a bubble were attacked by these blood sucking parasites, while those who slept in a cocoon were ignored.Â

Walruses
- Sleeping habit: anywhere on land; in water: floating with their tusks into an ice floe to keep them drifting off
Studies have shown that walruses can sleep up to 19 hours anywhere on land, but they also prefer to sleep in the water. Of course, just like any other marine mammal, walruses need oxygen to survive even though they love to swim in the water, but they are intelligent animals and have discovered an effective method to be safe while sleeping in such conditions.Â
For example, it seems that walruses adore sleeping while floating with their tusks into an ice floe because this technique keeps them from drifting off. At the same time, their head stays above the water, while the rest of their body enjoys floating. In general, these sleeping habits that involve water are short. Â
In general, walruses have a few natural predators, so they don’t have to worry about being eaten by them while they are floating, especially since the water is too cold for them.Â














1 thought on “”
i enjoyed this reading, very informative. WHAT About lions and tigers and black bears how do they get sleep.